Gall forming wasps, together with other co-inhabiting, inquiline, or gall-sharing, wasps – plus all of the parasitoid and predatory natural enemies which prey on them – constitute highly diverse, enclosed, mini-communities, nested within much larger ecosystems, such as a tree, or a forest.
When I came across these tiny black wasps on the beautiful brown buds of a pedunculate oak (Quercus robur) tree, earlier this month, I naively thought it would be a fairly straightforward task to identify them! I assumed that they were galls wasps, but I had no idea that there are at least 70 species of cynipid gall wasps (Cynipidae: Cynipini) that inhabit native oaks, just in the UK.
I’ll just call them ‘my wasps’ for now!😅 But all will be revealed!😁









Here is a picture of the tree:

The gall wasps and their co-inhabitants
Oak gall wasps (Cynipidae: Cynipini) are highly specialised insects that have the magic power of being able to induce abnormal plant growth (i.e. galls) on oak trees (Quercus species). They deposit their eggs within the vegetative tissues, and thereby create distinct galls on the leaves, buds, or twigs, which provide food and shelter for their larvae.
The larvae developing within the galls are attacked by a large community of natural enemies – parasites and predators – throughout their growth and development.
However, it gets even more complex and diverse, because these enclosed oak gall communities comprise: 1) the gall-inducing cynipid wasps; 2) other, non-gall forming cynipid wasps, classed as inquilines (see below); and 3) a host of chalcid parasitoids (Hymenoptera, Chalcidoidea) which attack the cynipids, and each other! (Askew et al., 2013).
Let’s start with the cynipid gall wasps themselves (see photos below), which can be thought of as the second level of a tritrophic (three layer) assembly, with the tree being the first layer and the parasitoids (natural enemies) being the top layer.
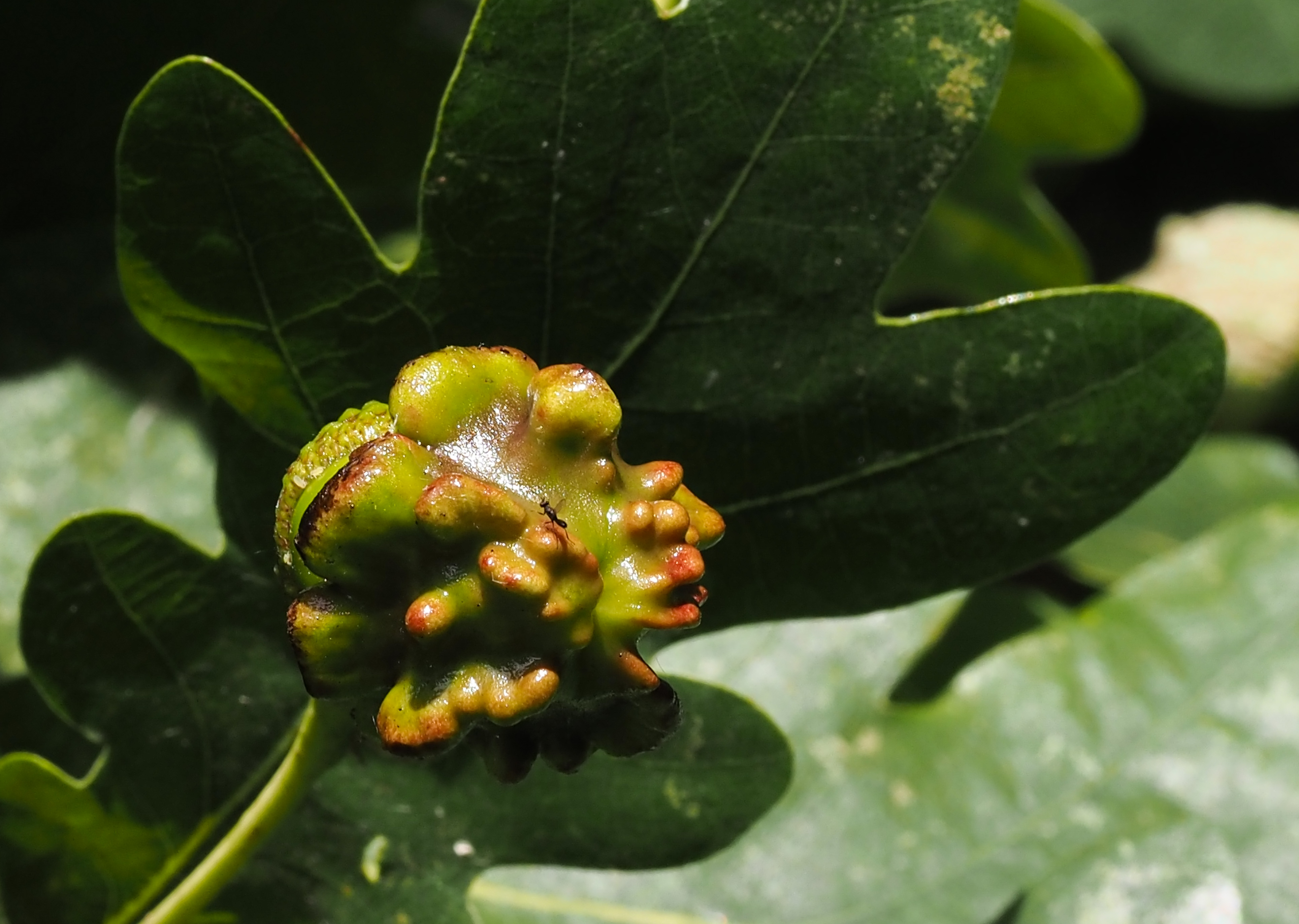
The gall wasps deposit their eggs under the scales of the bud, or possibly elsewhere, and they have a very characteristic structure for this purpose which can be clearly seen in some of the photographs, albeit greatly magnified (below).
I have know idea how this organ works, or how the wasps detect the exact primordial leaf and flower structures, within the bud, to lay their eggs on. The wasps seen at this time of year (March: the northern hemisphere spring) are the asexual forms. The sexual forms of each species emerge in the summer from the eggs which are laid in the spring, and this next generation goes on to produce a different type of gall!




The galls
The oak tree forms a gall at the site where the eggs are laid, in response to chemicals left by the wasp. This site is a physiological sink (or nutrient sink), because the tree is induced to channel resources into the gall. The developing larvae, in effect, hijack the plant’s metabolism.
However, although the galls take up some of the trees’ resources, they do not generally harm the tree, even though numbers fluctuate from year to year. Each gall-forming insect stimulates their host tree to produce a unique type of gall, which can be fun to identify (e.g. see Chinery, 2011).
However, unlike the galls themselves, which are ‘spectacularly diverse’, the oak cynipids themselves all look rather similar: i.e. small, black wasps less than a mg in weight.
Each wasp species has evolved to target different parts of the tree, and the insect-induced galls can be thought of as an extended phenotype, as the initiation, development, and maintenance of the gall is controlled by the insect, while the gall itself is composed entirely of plant tissue (Egan et al., 2018).
I set out to try and identify the wasps I photographed, by a process of elimination: investigating all the common types of gall wasps I could find photographs of on the Internet, and comparing them to the wasps I saw.



Oak marble gall wasps – ruled out!
The first oak gall wasp that I ruled out, was the Oak Marble Gall Wasp – Andricus kollari, (below) which induces marble galls on oak trees: see a video here. They don’t look much like my wasps.

Oak apple galls – also ruled out!
Another candidate, gall-forming wasp, is Biorhiza pallida: a tiny, stingless species that induces large, spongy oak apple galls (up to 5 cm) on Quercus robur (English oak) twigs in spring (shown below).



But they are clearly not this species either. See here, here and below.

Knopper galls – not these either!
Nor, do they look much like knopper oak gall wasps (see here), despite a profusion of knopper galls on this particular tree in previous years. The knopper gall wasp produces knobbly red, growths, which turn brown, on the acorns of Pedunculate Oak. Inside the gall, the larvae of the wasp feeds on the host tissues, but cause little damage.


The wasp which produces knopper galls, is Andricus quercuscalicis (Burgsdorf, 1783) (Hymenoptera: Cynipidae); a small gall wasp with an obligate two-phase life-cycle that requires both pedunculate oak (Q. robur L.) (or occasionally sessile oak Q. petraea L.) and Turkey oak (Quercus cerris L.). The knopper gall is induced by the asexual (agamic) forms of this species.
The sexual generation galls of Andricus quercuscalicis are small galls found on the male catkins of Quercus cerris [or Turkey oak]. This photograph by Sally Jennings on Flickr (see below) shows females of the sexual generation of A. quercuscalicis laying eggs into the female flowers of Quercus robur.

Spangle galls – are these what my wasps are inducing?
The common spangle gall (below) which forms on the underside of leaves on pedunculate oak (Quercus robur), is caused by the cynipid wasp Neuroterus quercusbaccarum, which has both agamic and bisexual generations.


The insects I photographed do look a lot like Neuroterus quercusbaccarum, e.g. see here, here and here, although this is by no means a confirmed identification. Nevertheless, this species triggers the growth of Currant Galls (in its sexual form) and spangle galls (in its asexual, or agamic form). I have described these in a previous blog – Oak galls: currants and spangles – although I did not see the wasps.


The sexual phase of Neuroterus quercusbaccarum begins in the spring. The asexual females emerge from spangle galls in the leaf litter, where they have spent the winter. These asexual females lay their eggs in developing oak buds which induces the tree to grow a Currant Gall, within which their sexual form larvae develop.
In June, both males and female sexual form of Neuroterus quercusbaccarum emerge from these current galls and mate. The fertilised females then seek out the undersides of maturing oak leaves in which to lay their eggs. This is the start of the next asexual generation, which induces the tree to form Common Spangle Galls.
I have photographed cynipid wasps on flowers in mid-summer, but again, it is hard to know what species they are, from a photograph.

In the autumn, before the leaves drop, the spangle galls detach from the leaves and fall to the ground. Inside the gall in the leaf litter, the larva develops into a pupa. These larvae develop into females (only) as no mating is required for the next stage, which occurs via parthenogenesis. These asexual females emerge the following spring, and so it all goes on again.
The oak tree
Pedunculate oak (Quercus robur) is a monoecious species, meaning that both male and female flowers grow on the same tree, usually emerging appearing in April or May – but somewhat earlier these days as a result of climate change – together with beautiful new leaves.
Male and female flowers occur on the same tree. The male flowers (below) are long pendulous catkins (2-4cm), with yellowish-green flowers bearing 8 to 20 stamens.

The female flowers are very small, red or pinkish, and found in the axils of the leaves; surrounded by a close cluster of scales, they develop into the acorns.

Inquilines or co-inhabitants
There are many inquilines and parasitoids that also occupy the agamic galls of all the different gall-forming cynipid species, i.e. as co-inhabitants. I like to think of them as non-paying tenants, or lodgers. As we have seen (above), some of these lodgers can be lethal to the owners – well they made it! – of the gall. Technically, Inquilines are species that live in the same nest or dwelling place – a gall in this case – of an animal of another species.
Gall wasps are ecosystem engineers – altering the environment in which they live just like beavers do on a much larger scale – and they form unique, little, concentrated assemblages of species embedded in the wider community associated with an oak tree or a woodland. The presence of inquilines in a gall provides an additional resource for exploitation by parasitoids.
The inquiline cynipid wasps found in oak galls, are primarily in the tribe Synergini (Hymenoptera: Cynipidae), with the genus Synergus being the most diverse and abundant. These, so-called ‘cheater’ wasps (with approx. 140 species in Europe, I think) inhabit the galls formed by Cynipini wasps, feeding on nutritive tissue and sometimes killing the original host larva.
Synergus species of inquiline Cynipidae are only found in oak galls. They have lost the ability to induce galls themselves, although they can modify the shape of the host gall – made by the gall-forming Cynipini – to some extent. They feed as larvae on the tissues of the host galls . Some have little effect on the host gall wasp (non-lethal inquilines), but other Synergus species end up killing the host gall wasp larvae and its occupant destroyed (lethal inquilines) (Askew et al., 2013).
The gall wasps in the tribe Synergini (Hymenoptera: Cynipidae) are sometimes called a ‘cheater lineage’ because they exploit the living space of another organism, contributing little or nothing to the gall in which they live and feed (Egan et al., 2018). They are I suppose, non-paying tenants!
Invasion and climate change
There have been rapid changes in the diversity of species associated with oak galls in the UK, over recent decades. Four alien, non-native species (Andricus kollari, A. quercuscalicis, A. lignicolus, and A. corruptrix) arrived in the UK in the period up to 1990, while another four invasive species (A. aries, A. grossulariae, A. lucidus, and Aphelonyx cerricola) reached Britain by 2000 (Schönrogge et al., 2012).
Andricus quercuscalicis, the wasp which produces knopper galls, invaded Britain in the late 1950s, and over the following decades – particularly between 1988 and 1993 – the parasitoid and inquiline community associated with the agamic galls of this species, increased in number from one to thirteen, over a 15-year period.
Somehow or other, the species parasitising and or living with this gall wasp found their way over from continental Europe (Schönrogge et al., 1998), presumably as a result of climate change.
The parasitoids of gall wasps
Most of the parasitoids of the cynipid gall wasps, and the inquilines, are chalcid wasps in the superfamily Chalcidoidea (Askew, 2013). Over one hundred chalcidoid species have been recorded from galls induced on Quercus by Cynipidae (Cynipini). The species found within each type of oak gall is influenced by factors such as: gall morphology, the situation on the tree, season of growth and host tree species (Askew, 2013). There must be so much more to find out about all these factors affect the assemblage of natural enemies relying on the cynipids.
Summing up: diverse, complex mini-communities associated with each gall
There is a very impressive diversity of species associated with these oak galls: both the gall-forming species themselves; their cohabiting inquiline cousins; plus all of the predators and parasitoids which prey on them. The numbers involved indicate a hugely complex web of interactions involving hundreds of species across at least three trophic levels.
These highly diverse, little, closed, gall wasp ecosystems – nested within a much larger ecosystem consisting of a tree, or a forest – are a salutary reminder of how much we still have to understand about the trees and woodlands we are so casual about looking after in our green and pleasant land!
Incidentally, the idea, that with AI and sophisticated neural networks, we are now in a position to build models which simulate how whole ecosystems function (e.g. Spillias et al., 2026), seem laughable – or at least highly ambitious – to me. This gall wasp ecosystem shows how we still lack a good understanding of what species are present in some parts of an ecosystem, and we know even less about how they behave and interact with each other in the real world.
In conclusion, there is an enormous amount to find out about the biology and ecology of these species, including the alternating generations of cyclically parthenogenic cynipid species, some of which have yet to be discovered (Egan et al., 2018). If it is this complex in a temperate woodland, imagine how much more complex it must be, in a tropical forest!
Links
Gall-wasp portraits by antoine.guiguet: https://www.flickr.com/photos/199378048@N06/albums/72177720312026621/
Great site for gall wasps: https://www.dorsetnature.co.uk/galls/galls-hymenoptera.html
References
Askew RR, Melika G, Pujade-Villar J, Schönrogge K, Stone GN and Nieves-Aldrey JL (2013) Catalogue of parasitoids and inquilines in cynipid oak galls in the West Palaearctic. Zootaxa 3643, 001–133.
Begg, T. (2008). Spatial and temporal dynamics in the development of invading cynipid communities in Britain. https://era.ed.ac.uk/items/1977d849-44d5-4395-b888-2794e59acd0c
Chinery, M. (2011). Britain’s plant galls: a photographic guide (Vol. 7). Princeton University Press.
Egan, S. P., Hood, G. R., Martinson, E. O., & Ott, J. R. (2018). Cynipid gall wasps. Current Biology, 28(24), R1370-R1374.
Hails, R. S., & Crawley, M. J. (1991). The population dynamics of an alien insect: Andricus quercuscalicis (Hymenoptera: Cynipidae). The Journal of Animal Ecology, 545-561.
Hayward, A., & Stone, G. N. (2005). Oak gall wasp communities: evolution and ecology. Basic and Applied Ecology, 6(5), 435-443.
Schönrogge, K., Begg, T., Williams, R., Melika, G., Randle, Z., & Stone, G. N. (2012). Range expansion and enemy recruitment by eight alien gall wasp species in Britain. Insect Conservation and Diversity, 5(4), 298-311.
Schönrogge, K., Stone, G. N., & Crawley, M. J. (1996). Alien herbivores and native parasitoids: rapid developments and structure of the parasitoid and inquiline complex in an invading gall wasp Andricus quercuscalicis (Hymenoptera: Cynipidae). Ecological Entomology, 21(1), 71-80.
Schönrogge, K., Walker, P., & Crawley, M. J. (1998). Invaders on the move: parasitism in the sexual galls of four alien gall wasps in Britain (Hymenoptera: Cynipidae). Proceedings of the Royal Society of London. Series B: Biological Sciences, 265(1406), 1643-1650.
Spillias, S., Trebilco, R., Adams, M. P., Boschetti, F., Constable, A., Dunstan, P., … & Fulton, E. A. (2026). The future of artificial intelligence in ecosystem modeling. BioScience, 76(1), 57-70.
Stone, G. N., & Cook, J. M. (1998). The structure of cynipid oak galls: patterns in the evolution of an extended phenotype. Proceedings of the Royal Society of London. Series B: Biological Sciences, 265(1400), 979-988.
Stone, G. N., Schönrogge, K., Atkinson, R. J., Bellido, D., & Pujade-Villar, J. (2002). The population biology of oak gall wasps (Hymenoptera: Cynipidae). Annual review of entomology, 47(1), 633-668.
Stone, G. N., Schönrogge, K., Crawley, M. J., & Fraser, S. (1995). Geographic and between-generation variation in the parasitoid communities associated with an invading gallwasp, Andricus quercuscalicis (Hymenoptera: Cynipidae). Oecologia, 104(2), 207-217.
Walker, P., Leather, S. R., & Crawley, M. J. (2002). Differential rates of invasion in three related alien oak gall wasps (Cynipidae: Hymenoptera). Diversity and Distributions, 8(6), 335-349.
Ward, A. K., Bagley, R. K., Egan, S. P., Hood, G. R., Ott, J. R., Prior, K. M., … & Forbes, A. A. (2022). Speciation in Nearctic oak gall wasps is frequently correlated with changes in host plant, host organ, or both. Evolution, 76(8), 1849-1867.